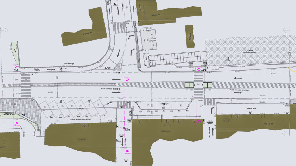
Scade il prossimo 14 settembre il bando con il quale il Comune di Clusone affiderà un altro cantiere che interesserà viale Gusmini completando quanto realizzato nel 2014 e 2015.
Con la riqualificazione si realizzeranno marciapiedi nel tratto compreso tra la rotatoria recentemente realizzata e l’innesto di via Cremona. L’importo complessivo dei lavori è di 55.400 euro. Nella descrizione del progetto si legge: «Il progetto prevede la prosecuzione del marciapiedi sul lato destro salendo da Bergamo, la realizzazione di passaggi pedonali protetti e la realizzazione di nuovi sotto-servizi. Altro obbiettivo dell’Amministrazione è stato quello di ridurre la velocità dei veicoli ed evitare che gli stessi possano effettuare manovre che creino pericolo alla circolazione, per questo motivo verrà prolungato lo spartitraffico realizzato dagli attuatori del piano integrato di intervento “ex Mirage” a completamento della nuova rotonda». L’inizio delle opere è previsto per il mese di ottobre.



















